Начало » Special market » TRAVEL, FISHING, HUNTING » о рыбалке, где рыбачить, какие снасти выбирать и другое
( ) 4 голоса
|
|
| Re: о рыбалке, где рыбачить, какие снасти выбирать и другое [сообщение #1568045 является ответом на сообщение #1568004] |
Чтв, 12 Август 2010 00:02   |
wise
 Сообщений: 582 Зарегистрирован: Ноябрь 2008 Географическое положение: Трехгорный
|
Общительный |
От: 94.50.80*
|
|
Еще со времен СССР многие наши горожане отдыхали на реке Урал ниже Уральска и Чапаевска, в районе деревни Бударино. Там есть несколько хороших песчаных кос и рыбалка там была отменная: лещ, сазан, чехонь,густера, синец, щука, судак, сом и даже красная рыба и черная икра, которую покупали у местных браконьеров.Подводная охота - никакая:вода очень мутная. Почти задаром помидоры, арбузы и прочее. Погода, как правило, до конца сентября - пляжная. Последний раз мы там были в 2006 году в начале сентября. Дорога хорошая (кроме небольшого участка от казахской таможни до Уральска). Рыбы стало меньше (если раньше клевало через пять секунд после заброса поплавка, то сейчас в среднем секунд через тридцать), браконьеров поубавилось, но помидоры и арбузы еще есть. При выборе стоянки-принюхивайтесь. Нам пришлось менять место из-за невыносимой вони (где то в кустах, на жаре пропадала выброшенная рыба и мусор от нерадивых туристов) Водку и прочие продукты дешевле покупать на месте. Небольшие проблемы на таможне: то казахи не разрешают червей завозить ( якобы там нарушится флора и фауна) либо придумают ограничения по вывозу рыбы, то потребуют заплатить 500 руб за регистрацию на месте, то разрешение от рыбинспекции ( у знакомых лодку конфисковали, и никакой на них управы). В общем, кому что взбредет в голову. В меру экстремальное путешествие.Таможенники с обеих сторон - хуже гаишников. Туристы и рыбаки для них - быдло. Унизительнейший досмотр и поборы, такого ни на какой европейской границе мы не видели. Казахско-российский позор. Загранпаспорт не требовался (российский-обязательно!). По мне так хорошая альтернатива дикому отдыху в переполненных сочах и анапах. Да и ехать всего 1000 км.
[Обновления: Чтв, 12 Август 2010 00:30] Известить модератора
|
|
|
|
| Re: о рыбалке, где рыбачить, какие снасти выбирать и другое [сообщение #1568233 является ответом на сообщение #847930] |
Чтв, 12 Август 2010 14:43   |
 |
Federal
 Сообщений: 755 Зарегистрирован: Июнь 2006 Географическое положение: 74 RUS
|
Общительный |
От: *tvs-eth3.trg
|
|
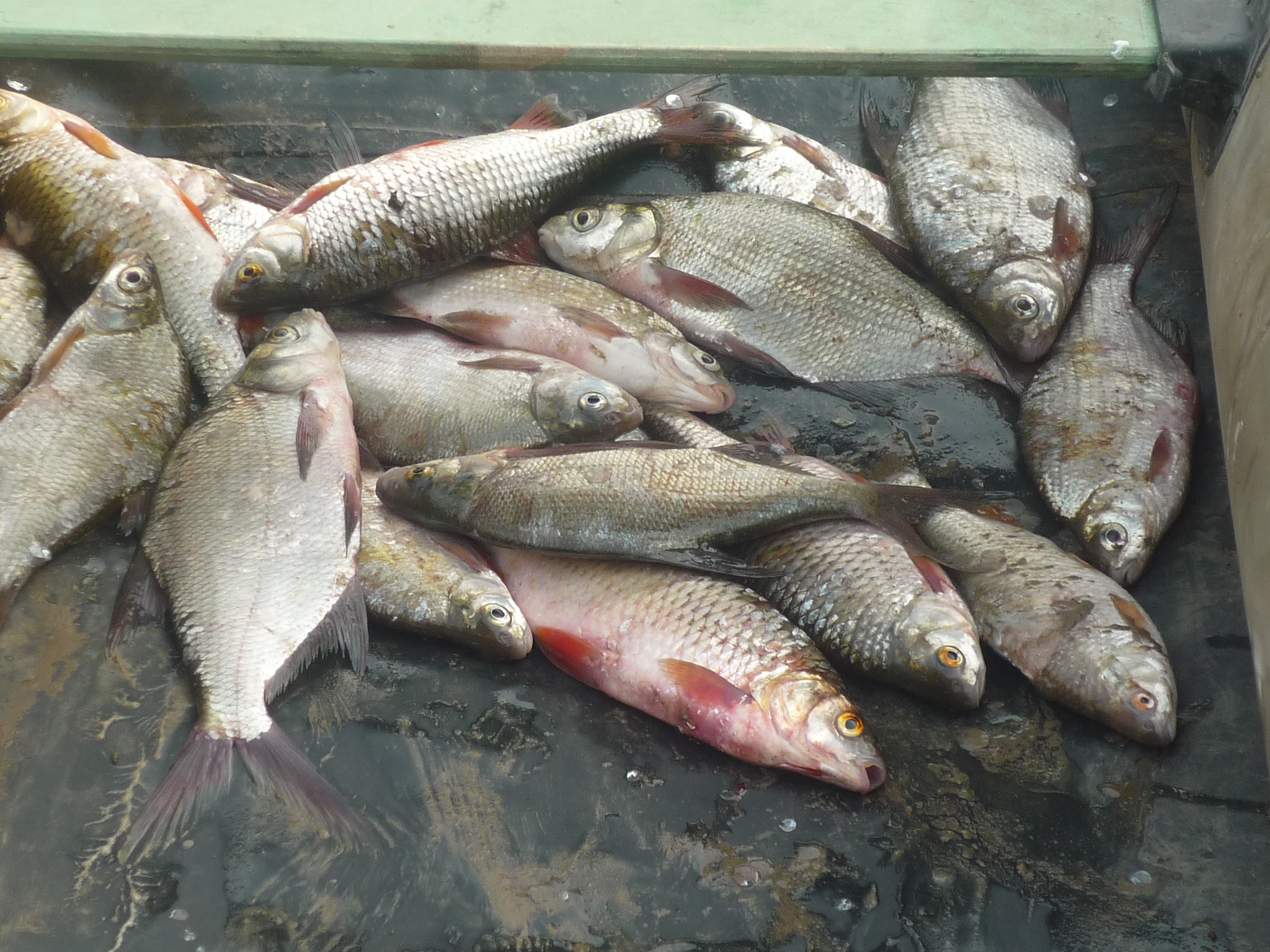
р. Белая, где-то.... :)некоторых отпускали обратно в водоем
-
Вложение: P1020201.JPG
(Размер: 821.82KB, Загружено 312 раз)
-
Вложение: P1020194.JPG
(Размер: 739.71KB, Загружено 275 раз)
-
Вложение: P1020147.JPG
(Размер: 509.94KB, Загружено 248 раз)
-
Вложение: P1020170.JPG
(Размер: 831.68KB, Загружено 259 раз)
-
Вложение: DSCN9865.JPG
(Размер: 345.04KB, Загружено 243 раза)
-
Вложение: DSCN9867.JPG
(Размер: 380.63KB, Загружено 244 раза)
-
Вложение: DSCN9864.JPG
(Размер: 336.66KB, Загружено 265 раз)
* ФОТОГРАФ любое фото для ВАС *
Грехи других судить Вы все усердно рветесь, начните со своих и до чужих не доберетесь....
Когда ты будешь подниматься вверх, ты повстречаешь много разных людей. Не обижай их, потому что ты встретишь их всех еще раз, когда будешь падать вниз.
[Обновления: Чтв, 12 Август 2010 18:05] Известить модератора
|
|
|
|
|
|
|
|
|
|
| Re: о рыбалке, где рыбачить, какие снасти выбирать и другое [сообщение #1568439 является ответом на сообщение #847930] |
Чтв, 12 Август 2010 21:57   |
|
|
|
Базара нет,судак хорошая рыба.Ну просто здесь в округе очень много рыбы, просто надо уметь её поймать. А на Белой, мне кажется, любой поймает,и, судя по фоткам, у вас чет не очень улов - то.А насчет раков, мне говарили, что здесь поблизости ловят их.Просто за столько километров ехать и ловить такую мелочь, если только отдохнуть, так как там красивые места, да и судачка половить - это можно.
|
|
|
|
| Re: о рыбалке, где рыбачить, какие снасти выбирать и другое [сообщение #1568443 является ответом на сообщение #1568429] |
Чтв, 12 Август 2010 22:05   |
|
|
wise писал(а) Чтв, 12 Август 2010 21:23Cayman писал(а) Чтв, 12 Август 2010 21:00И смысл ездить на Белую, если здесь рыбы больше)))
Какие будут ваши доказательства
А стерлядка, а судачки, а раки... Юрюзань и Белая это две большие разницы
В доказательство смотри фотки выше.У меня жена ругается, устала чистить, приходится рыбу по родственникам раздавать.
|
|
|
|
|
|
|
|
|
|
|
|
|
|
| Re: о рыбалке, где рыбачить, какие снасти выбирать и другое [сообщение #1568595 является ответом на сообщение #1568439] |
Птн, 13 Август 2010 11:56   |
vovan2880
 Сообщений: 298 Зарегистрирован: Январь 2010 Географическое положение: Трехгорный
|
Постоялец |
От: *cust.tele2.ru
|
|
Cayman писал(а) Чтв, 12 Август 2010 21:57Базара нет,судак хорошая рыба.Ну просто здесь в округе очень много рыбы, просто надо уметь её поймать. А на Белой, мне кажется, любой поймает,и, судя по фоткам, у вас чет не очень улов - то.А насчет раков, мне говарили, что здесь поблизости ловят их.Просто за столько километров ехать и ловить такую мелочь, если только отдохнуть, так как там красивые места, да и судачка половить - это можно.
хотелось бы поподробнее узнать где раков поближе можно наловить.
|
|
|
|
|
|
|
|
|
|
|
|
|
|
| Re: о рыбалке, где рыбачить, какие снасти выбирать и другое [сообщение #1569539 является ответом на сообщение #847930] |
Пнд, 16 Август 2010 18:19   |
|
|
Единственное скажу, что номанаций было несколько: спининг с берега, спининг с лодки, нахлыст, поплавок или фидер. Я покидав безрезультатно спиниг решил половить на поплавок. Ловил так же, как и у нас на реке, т.е. как всегда пол ведра гороха и пшеницы в воду, около часа ожидания и понеслась. В основном голавль, но под конец подошло немеренно мелочи (относительно голавля) - хороший крупный чебак, густера, подлещик. Крючок был большой+горох, п.э. все кроме голавля цеплялось плохо, но почти каждая проводка - поклевка. Итог, за ведро пшеницы с горохом получил 7 кг рыбы.
https://vk.com/mycomp_trg
|
|
|
|
|
|
| Re: о рыбалке, где рыбачить, какие снасти выбирать и другое [сообщение #1569956 является ответом на сообщение #1569539] |
Втр, 17 Август 2010 17:45   |
_MeRS_
 Сообщений: 59 Зарегистрирован: Май 2010 Географическое положение: T_R_G
|
Участник |
От: 94.51.10*
|
|
Rusya писал(а) Пнд, 16 Август 2010 18:19Единственное скажу, что номанаций было несколько: спининг с берега, спининг с лодки, нахлыст, поплавок или фидер. Я покидав безрезультатно спиниг решил половить на поплавок. Ловил так же, как и у нас на реке, т.е. как всегда пол ведра гороха и пшеницы в воду, около часа ожидания и понеслась. В основном голавль, но под конец подошло немеренно мелочи (относительно голавля) - хороший крупный чебак, густера, подлещик. Крючок был большой+горох, п.э. все кроме голавля цеплялось плохо, но почти каждая проводка - поклевка. Итог, за ведро пшеницы с горохом получил 7 кг рыбы.
)))))как обычно хвастаешся а на жука так и не научился
|
|
|
|
|
|
|
|
|
|
|
|
|
|
|
|
|
|
|
|
|
|
|
|
|
|
|
|
|
|
|
|
|
|
| Re: о рыбалке, где рыбачить, какие снасти выбирать и другое [сообщение #1577268 является ответом на сообщение #1577044] |
Вск, 05 Сентябрь 2010 12:09   |
|
|
vovan2880 писал(а) Сбт, 04 Сентябрь 2010 12:54
посоветуйте куда лучше съездить
Сейчас вода маленькая, п.э. чем ниже, тем лучше. Но вот я вчера гонял на белую в район Охлебинино, по киллометрам дальше, а по времени столько же, т.к. по асфальту едишь. И рыбы уйма
https://vk.com/mycomp_trg
[Обновления: Вск, 05 Сентябрь 2010 12:10] Известить модератора
|
|
|
|
| Re: о рыбалке, где рыбачить, какие снасти выбирать и другое [сообщение #1577426 является ответом на сообщение #1577268] |
Вск, 05 Сентябрь 2010 19:35   |
vovan2880
 Сообщений: 298 Зарегистрирован: Январь 2010 Географическое положение: Трехгорный
|
Постоялец |
От: 90.150.64*
|
|
Rusya писал(а) Вск, 05 Сентябрь 2010 12:09vovan2880 писал(а) Сбт, 04 Сентябрь 2010 12:54
посоветуйте куда лучше съездить
Сейчас вода маленькая, п.э. чем ниже, тем лучше. Но вот я вчера гонял на белую в район Охлебинино, по киллометрам дальше, а по времени столько же, т.к. по асфальту едишь. И рыбы уйма
Это где? Как проехать?
|
|
|
|
|
|
Переход к форуму:
Текущее время: Чтв Янв 08 20:20:27 +05 2026
Общее время, затраченное на создание страницы: 0.07012 секунд
|